Listing Address:
2501 Corner Lot On Valentine Avenue, Palm Bay, FL 32908
Price: $27,500
MLS # 955741
Property Type: Vacant Land
This property is Closed. Please contact us for similar properties.
Property Description:
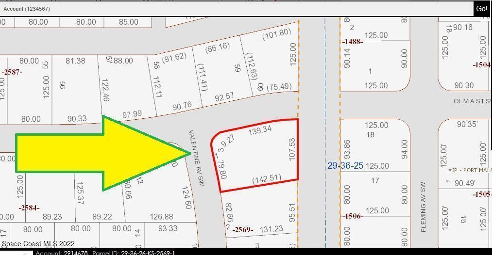
Oversized 0.37 acre **Corner** buildable single residential lot [Rs2 Zoning] on a drainage right-of-way easement in the back of the lot available in Port Malabar Unit #49 of Palm Bay. Nicely located in the southwest section, near the Compound, is just 2.5 miles - 6 minutes to Westside and Bayside Schools, 4.1 miles - 10 minutes to the Publix Supermarket, 12.9 miles -27 minutes- to the Melbourne Mall, and 19 miles - 39 minutes to the beaches of Indialantic. From exit #176 of I-95 go west on Palm Bay Road NE for .7 miles, left on Minton Road for 3.3 miles, right on Jupiter Boulevard for .1 mile, left on DeGroodt Road SW for 3.7 miles, right on Fitchburg Street for .7 miles, right on Fleming Avenue, right on Olivia Street, and left on Valentine Avenue. The lot will be on your left.
5/04/2023
Sold Price: $22,000
Property Listing Details for 2501 Corner Lot On Valentine Avenue, Palm Bay, FL 32908
Lot Sub-Type
Unimproved Land
Gated?
HOA
HOA Dues
0.00 ()
Utilities
Subdivision
Frontage
Financing
Posession
Land Use
Adj. Land Use
Lot Desc.
Site Desc.
Tax Year
2022
Tax Amount
$174
55+ Community
Listing Status
Closed
Property Status
Street
2501 Corner Lot On Valentine Avenue, Palm Bay, 32908
Zip Code
D. Basile Real Estate, LLC lists and sells Real Estate and Luxury homes in Melbourne Beach, Merritt Island, Cocoa Beach, Lansing Island, Tortoise Island, Barefoot Bay, Cape Canaveral, Cocoa, Grant Valkaria, Indialantic, Indian Harbour Beach, Malabar, Melbourne, Palm Bay, Rockledge, Satellite Beach, Titusville, West Melbourne and surrounding areas in Brevard.
This listing is courtesy of Coldwell Banker Realty. Property Listing Data contained within the D Basile Real Estate website is the property of Brevard MLS and is provided for consumers looking to purchase real estate. Any other use is prohibited. We are not responsible for errors and omissions on this web site. All information contained herein should be deemed reliable but not guaranteed, all representations are approximate, and individual verification is recommended.
Quick MLS Search
Choose the Area, City, then Type of the property you're looking for

Share us on your network!