Listing Address:
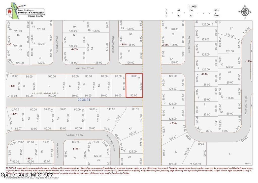
410 Gallash Street, Palm Bay, FL 32908
Price: $52,000
MLS # 952586
Property Type: Vacant Land
This property is Closed. Please contact us for similar properties.
Property Description:
Looking for land with city water in SW Palm Bay, FL to build your dream home or to invest in the long term? Here is the property for YOU !! Very close to Bayside Lakes shopping and schools. Only mins from I95 and roughly 34 mins to the beach!! . There is tons of privacy with 2 canals. One canal behind and one canal on the side of the property. Its .26 acres will come in handy to accommodate a large home floor plan with plenty of yard space for entertainment. THIS AREA REQUIRES AN 1,800 SQ FT MINIMUM HOUSE SIZE UNDER AIR WHEN BUILDING. New Construction homes in this area are currently averaging between 1800 sq ft to 2700 sq ft !!! Whether you are ready to build a dream home or just looking to hold for an investment. Call today so we can discuss your options!!
8/04/2023
Sold Price: $43,000
Property Listing Details for 410 Gallash Street, Palm Bay, FL 32908
Lot Sub-Type
Unimproved Land
Gated?
HOA
HOA Dues
0.00 ()
Utilities
Subdivision
Frontage
Financing
Posession
D. Basile Real Estate, LLC lists and sells Real Estate and Luxury homes in Melbourne Beach, Merritt Island, Cocoa Beach, Lansing Island, Tortoise Island, Barefoot Bay, Cape Canaveral, Cocoa, Grant Valkaria, Indialantic, Indian Harbour Beach, Malabar, Melbourne, Palm Bay, Rockledge, Satellite Beach, Titusville, West Melbourne and surrounding areas in Brevard.
This listing is courtesy of Coldwell Banker Realty. Property Listing Data contained within the D Basile Real Estate website is the property of Brevard MLS and is provided for consumers looking to purchase real estate. Any other use is prohibited. We are not responsible for errors and omissions on this web site. All information contained herein should be deemed reliable but not guaranteed, all representations are approximate, and individual verification is recommended.
Quick MLS Search
Choose the Area, City, then Type of the property you're looking for

Share us on your network!