Listing Address:
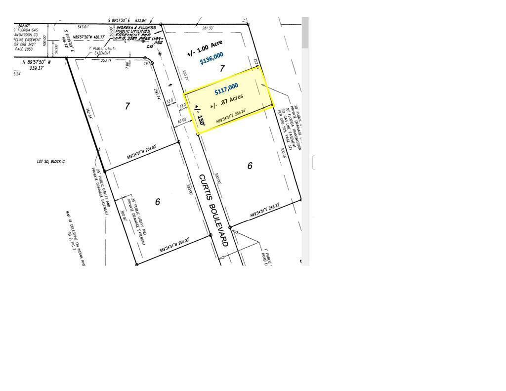
3870 Curtis Boulevard, Cocoa, FL 32927
Price: $239,000
MLS # 950334
Property Type: Vacant Land
This property is Closed. Please contact us for similar properties.
Property Description:
Lot 7 is part of the Horizon Town Center Development zoned IU (Light Industrial.) Uses for this zoning designation include all uses permitted in the BU-1 and BU-2 except single family residence. It comprises of 27 tax records from 2323504 - 2323530. The land is currently part of a commercial condo which can be removed if need be. The condo has 27 units to be built already approved. there is a lift station on lot 7 which is share with the property at 36860 Curtis Blvd. Daily traffic count on Fay Blvd is over 15k.The attached form ''Horizon Town Center'' lists entitlements which bring added value:OWNER WILLING TO SPLIT LOTS INTO .8 ACRES FOR $117K AND 1 $133K
3/01/2024
Sold Price: $113,100
Property Listing Details for 3870 Curtis Boulevard, Cocoa, FL 32927
Lot Sub-Type
Unimproved Land
Gated?
HOA
HOA Dues
0.00 ()
Utilities
Subdivision
Frontage
Financing
Posession
D. Basile Real Estate, LLC lists and sells Real Estate and Luxury homes in Melbourne Beach, Merritt Island, Cocoa Beach, Lansing Island, Tortoise Island, Barefoot Bay, Cape Canaveral, Cocoa, Grant Valkaria, Indialantic, Indian Harbour Beach, Malabar, Melbourne, Palm Bay, Rockledge, Satellite Beach, Titusville, West Melbourne and surrounding areas in Brevard.
This listing is courtesy of Crossover Commercial Group , In. Property Listing Data contained within the D Basile Real Estate website is the property of Brevard MLS and is provided for consumers looking to purchase real estate. Any other use is prohibited. We are not responsible for errors and omissions on this web site. All information contained herein should be deemed reliable but not guaranteed, all representations are approximate, and individual verification is recommended.
Quick MLS Search
Choose the Area, City, then Type of the property you're looking for

Share us on your network!