Listing Address:
0000 Atlantic Street, Melbourne Beach, FL 32951
Price: $495,000
MLS # 948654
Property Type: Vacant Land
This property is Closed. Please contact us for similar properties.
Property Description:
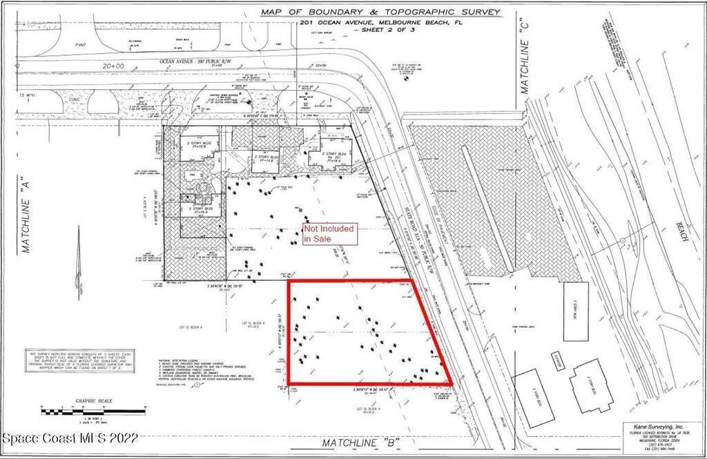
Excellent opportunity to purchase one of the few remaining vacant lots in desirable Melbourne Beach! Property is estimated 0.30 acres total. Dimensions estimated 105' Frontage x 156' South Boundary x 100' West Boundary x 116' North Boundary. High exposure with approximately 14,500 VPD on SR A1A. Melbourne Beach (6-B) zoning allows: Office, Retail, Clinics, Parking Lots & More! Height restrictions 35' per Town of Melbourne Beach. Surrounding neighbors include Port d'Hiver B&B, Ocean 302, Djon's Steakhouse, Melbourne Beach Pier, and the Melbourne Beach Supermarket to name a few. Property is surrounded by River and Oceanfront homes, A Rated schools, and is across the street from the Atlantic Ocean. Make this the future home for your business today.
1/30/2023
Sold Price: $430,000
Property Listing Details for 0000 Atlantic Street, Melbourne Beach, FL 32951
Lot Sub-Type
Unimproved Land
Gated?
HOA
HOA Dues
0.00 ()
Utilities
Subdivision
Frontage
Financing
Posession
D. Basile Real Estate, LLC lists and sells Real Estate and Luxury homes in Melbourne Beach, Merritt Island, Cocoa Beach, Lansing Island, Tortoise Island, Barefoot Bay, Cape Canaveral, Cocoa, Grant Valkaria, Indialantic, Indian Harbour Beach, Malabar, Melbourne, Palm Bay, Rockledge, Satellite Beach, Titusville, West Melbourne and surrounding areas in Brevard.
This listing is courtesy of The Ullian Realty Corporation. Property Listing Data contained within the D Basile Real Estate website is the property of Brevard MLS and is provided for consumers looking to purchase real estate. Any other use is prohibited. We are not responsible for errors and omissions on this web site. All information contained herein should be deemed reliable but not guaranteed, all representations are approximate, and individual verification is recommended.
Quick MLS Search
Choose the Area, City, then Type of the property you're looking for

Share us on your network!