Listing Address:
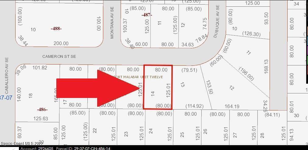
264 Cameron Street, Palm Bay, FL 32909
Price: $46,000
MLS # 945470
Property Type: Vacant Land
This property is Closed. Please contact us for similar properties.
Property Description:
One of 2 side-by-side adjacent lots available in Port Malabar Unit 12 of Palm Bay. Located in the southeast section, this 0.23 acre buildable residential lot has city water available, and is just 1 mile - 3 minutes to Turner Elementary School, 1.7 miles - 5 minutes to the Winn Dixie Supermarket, 11.1 miles - 25 minutes to Melbourne Airport, and 14 miles - 30 minutes to the beaches of Indialantic. From exit #176 of I-95 go west on Palm Bay Road for .7 miles, left on Minton Road for 3.3 miles, left on Jupiter Boulevard for .3 miles, right on Caballero Avenue for .4 miles, and left on Cameron Street. The lot will be on your right.
12/29/2022
Sold Price: $41,000
Property Listing Details for 264 Cameron Street, Palm Bay, FL 32909
Lot Sub-Type
Unimproved Land
Gated?
HOA
HOA Dues
0.00 ()
Utilities
Subdivision
Frontage
Financing
Posession
D. Basile Real Estate, LLC lists and sells Real Estate and Luxury homes in Melbourne Beach, Merritt Island, Cocoa Beach, Lansing Island, Tortoise Island, Barefoot Bay, Cape Canaveral, Cocoa, Grant Valkaria, Indialantic, Indian Harbour Beach, Malabar, Melbourne, Palm Bay, Rockledge, Satellite Beach, Titusville, West Melbourne and surrounding areas in Brevard.
This listing is courtesy of Coldwell Banker Realty. Property Listing Data contained within the D Basile Real Estate website is the property of Brevard MLS and is provided for consumers looking to purchase real estate. Any other use is prohibited. We are not responsible for errors and omissions on this web site. All information contained herein should be deemed reliable but not guaranteed, all representations are approximate, and individual verification is recommended.
Quick MLS Search
Choose the Area, City, then Type of the property you're looking for

Share us on your network!