Listing Address:
2502 Transom Circle, Palm Bay, FL 32905
Price: $395,000
MLS # 941767
Property Type: Vacant Land
This property is Closed. Please contact us for similar properties.
Property Description:
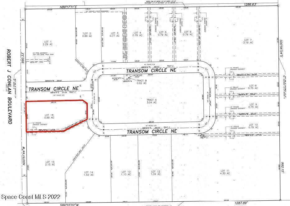
Vacant industrial land for sale in the HEART of Palm Bay. Lot 16 is located at the southern intersection of Robert J. Conlan Boulevard NE & Transom Circle. Lot 16 is +/- 0.99 Acres. Asking $395,000. Property is zoned City of Palm Bay Light Industrial (LI) which allows Light Manufacturing, Light Assembly, Warehousing, Outdoor Storage & More! Frontage on Robert J. Conlan Boulevard which has exposure to estimated 16,800 VPD! City Water/Sewer & FPL are available nearby. Surrounding neighbors include L3Harris, Northrop Grumman, Raytheon, UPS & More! Seller will consider financing subject to Contract Terms & Buyer Credit. Make this the future home for your business today!
2/09/2024
Sold Price: $395,000
Property Listing Details for 2502 Transom Circle, Palm Bay, FL 32905
Lot Sub-Type
Unimproved Land
Gated?
HOA
HOA Dues
0.00 ()
Utilities
Subdivision
Frontage
Financing
Posession
D. Basile Real Estate, LLC lists and sells Real Estate and Luxury homes in Melbourne Beach, Merritt Island, Cocoa Beach, Lansing Island, Tortoise Island, Barefoot Bay, Cape Canaveral, Cocoa, Grant Valkaria, Indialantic, Indian Harbour Beach, Malabar, Melbourne, Palm Bay, Rockledge, Satellite Beach, Titusville, West Melbourne and surrounding areas in Brevard.
This listing is courtesy of The Ullian Realty Corporation. Property Listing Data contained within the D Basile Real Estate website is the property of Brevard MLS and is provided for consumers looking to purchase real estate. Any other use is prohibited. We are not responsible for errors and omissions on this web site. All information contained herein should be deemed reliable but not guaranteed, all representations are approximate, and individual verification is recommended.
Quick MLS Search
Choose the Area, City, then Type of the property you're looking for

Share us on your network!