Listing Address:
1026 Laika Road, Palm Bay, FL 32908
Price: $14,000
MLS # 933869
Property Type: Vacant Land
This property is Closed. Please contact us for similar properties.
Property Description:
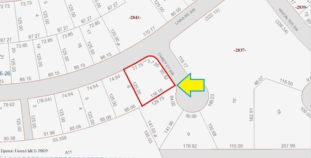
One of 2 side-by-side adjacent lots available in Port Malabar Unit 52 of Palm Bay (the other is 1034 Laika Road). There are no utilities present at this lot or in this area; so the lot and the unit are not build-able. The seller has no knowledge of the property and makes no representations except for title. This property is for investment purposes only in the future of Palm Bay. From exit #176 of I-95 go west on Palm Bay Road for .7 miles, left on Minton Road for 3.3 miles, right on Jupiter Boulevard, left on DeGroodt Road for 3.3 miles, right on Osmosis Drive for 1 mile, left on Madden Avenue for 1 mile, and right on Laika Road. The lot will be on your left at the corner with Candy Court.
6/10/2022
Sold Price: $12,450
Property Listing Details for 1026 Laika Road, Palm Bay, FL 32908
Lot Sub-Type
Unimproved Land
Gated?
HOA
HOA Dues
0.00 ()
Utilities
Subdivision
Frontage
Financing
Posession
D. Basile Real Estate, LLC lists and sells Real Estate and Luxury homes in Melbourne Beach, Merritt Island, Cocoa Beach, Lansing Island, Tortoise Island, Barefoot Bay, Cape Canaveral, Cocoa, Grant Valkaria, Indialantic, Indian Harbour Beach, Malabar, Melbourne, Palm Bay, Rockledge, Satellite Beach, Titusville, West Melbourne and surrounding areas in Brevard.
This listing is courtesy of Coldwell Banker Realty. Property Listing Data contained within the D Basile Real Estate website is the property of Brevard MLS and is provided for consumers looking to purchase real estate. Any other use is prohibited. We are not responsible for errors and omissions on this web site. All information contained herein should be deemed reliable but not guaranteed, all representations are approximate, and individual verification is recommended.
Quick MLS Search
Choose the Area, City, then Type of the property you're looking for

Share us on your network!