Listing Address:
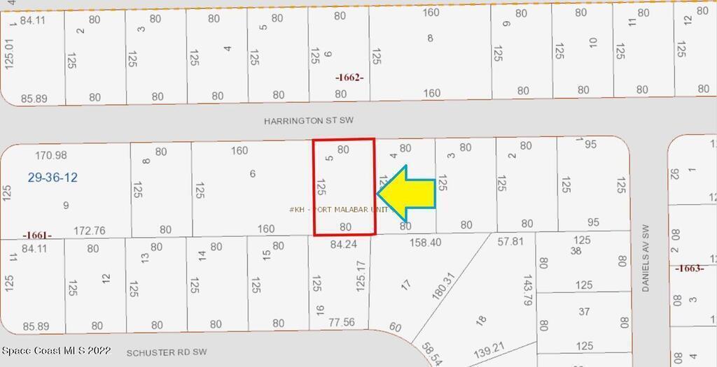
598 Harrington Street, Palm Bay, FL 32908
Price: $42,500
MLS # 927108
Property Type: Vacant Land
This property is Closed. Please contact us for similar properties.
Property Description:
0.23 acre buildable residential lot available in Port Malabar Unit 37 of Palm Bay. Located in the southwest section, this lot is just 1.3 miles - 4 minutes to Jupiter Elementary School, 2.1 miles - 5 minutes to the Winn Dixie Supermarket, 11.9 miles - 27 minutes to Melbourne Airport, and 14.5 miles - 33 minutes to the beaches of Indialantic. From exit #173 of I-95 go west on Malabar Road for .2 miles, left on San Filippo Drive for .5 miles, right on Jupiter Boulevard for 3.4 miles, left on Garvey Road for .3 miles, and left on Harrington Street. The lot will be on your right.
11/29/2022
Sold Price: $40,000
Property Listing Details for 598 Harrington Street, Palm Bay, FL 32908
Lot Sub-Type
Unimproved Land
Gated?
HOA
HOA Dues
0.00 ()
Utilities
Subdivision
Frontage
Financing
Posession
Land Use
Adj. Land Use
Lot Desc.
Site Desc.
Tax Year
2021
Tax Amount
$155
55+ Community
Listing Status
Closed
Property Status
Street
598 Harrington Street, Palm Bay, 32908
Zip Code
D. Basile Real Estate, LLC lists and sells Real Estate and Luxury homes in Melbourne Beach, Merritt Island, Cocoa Beach, Lansing Island, Tortoise Island, Barefoot Bay, Cape Canaveral, Cocoa, Grant Valkaria, Indialantic, Indian Harbour Beach, Malabar, Melbourne, Palm Bay, Rockledge, Satellite Beach, Titusville, West Melbourne and surrounding areas in Brevard.
This listing is courtesy of Coldwell Banker Realty. Property Listing Data contained within the D Basile Real Estate website is the property of Brevard MLS and is provided for consumers looking to purchase real estate. Any other use is prohibited. We are not responsible for errors and omissions on this web site. All information contained herein should be deemed reliable but not guaranteed, all representations are approximate, and individual verification is recommended.
Quick MLS Search
Choose the Area, City, then Type of the property you're looking for

Share us on your network!