Listing Address:
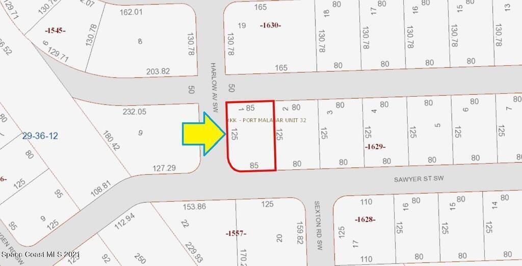
397 Sawyer Street, Palm Bay, FL 32908
Price: $27,500
MLS # 911800
Property Type: Vacant Land
This property is Closed. Please contact us for similar properties.
Property Description:
0.24 acre buildable residential lot available in Port Malabar Unit 32 of Palm Bay. Located in the southwest section, this lot has a drainage canal in the rear allowing more privacy, and is just 1.9 miles - 4 minutes to Bayside High School, 3.2 miles - 7 minutes to the Publix Supermarket, 11.8 miles - 27 minutes to Melbourne Airport, and 14.7 miles - 33 minutes to the beaches of Indialantic. From exit #176 of I-95 go west on Palm Bay Road for .7 miles, left on Minton Road for 3.3 miles, right on Jupiter Boulevard for .1 mile, left on DeGroodt Road for 1.0 mile, and right on Sawyer Street. The lot will be on your right at the corner with Harlow Avenue.
8/26/2021
Sold Price: $25,000
Property Listing Details for 397 Sawyer Street, Palm Bay, FL 32908
Lot Sub-Type
Unimproved Land
Gated?
HOA
HOA Dues
0.00 ()
Utilities
Subdivision
Frontage
Financing
Posession
D. Basile Real Estate, LLC lists and sells Real Estate and Luxury homes in Melbourne Beach, Merritt Island, Cocoa Beach, Lansing Island, Tortoise Island, Barefoot Bay, Cape Canaveral, Cocoa, Grant Valkaria, Indialantic, Indian Harbour Beach, Malabar, Melbourne, Palm Bay, Rockledge, Satellite Beach, Titusville, West Melbourne and surrounding areas in Brevard.
This listing is courtesy of Coldwell Banker Realty. Property Listing Data contained within the D Basile Real Estate website is the property of Brevard MLS and is provided for consumers looking to purchase real estate. Any other use is prohibited. We are not responsible for errors and omissions on this web site. All information contained herein should be deemed reliable but not guaranteed, all representations are approximate, and individual verification is recommended.
Quick MLS Search
Choose the Area, City, then Type of the property you're looking for

Share us on your network!