Listing Address:
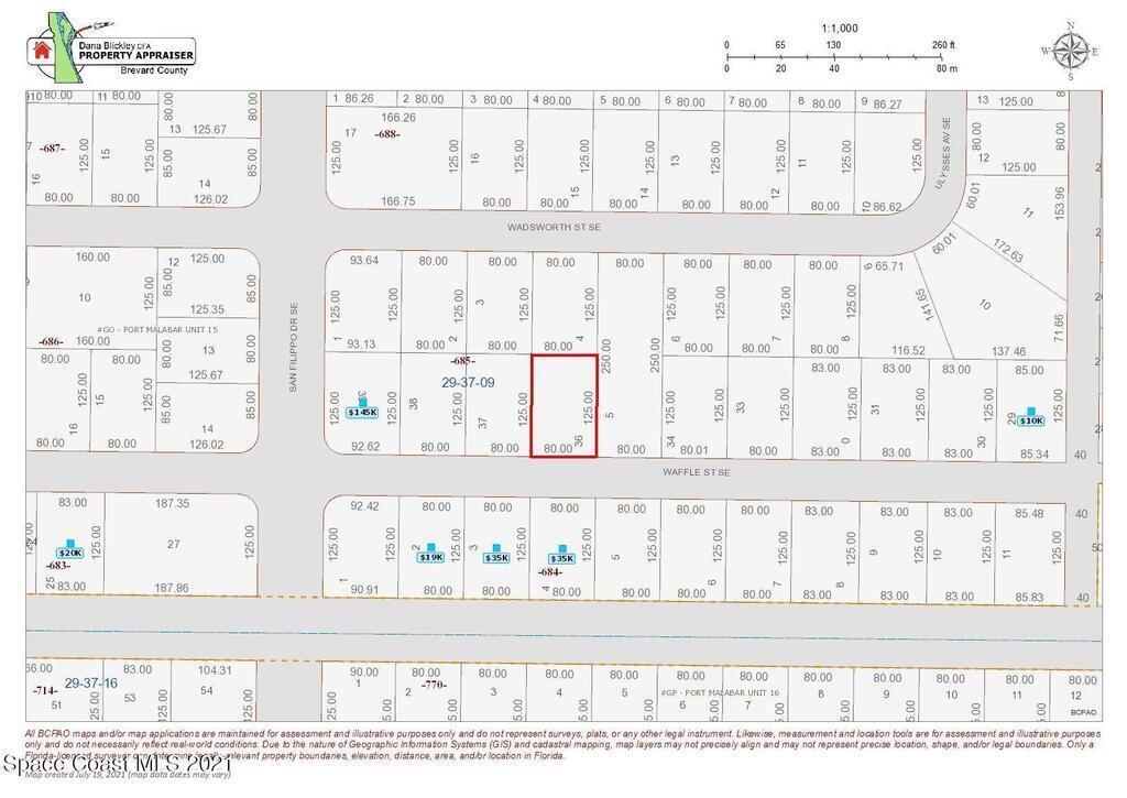
1327 Waffle Street, Palm Bay, FL 32909
Price: $34,900
MLS # 910783
Property Type: Vacant Land
This property is Closed. Please contact us for similar properties.
Property Description:
Vacant Land Located In Popular Unit 15 Surrounded By Many Newly Constructed Homes. On A Paved Road. Build Your Dream Home Today In This Tropical Paradise We Call Palm Bay, All While Being Close To Interstate 95 Bayside Lakes Area Shopping, The Majors Golf Course, Bayside Elem. & High Schools, Only 25 Minutes From Beautiful Beaches On The Atlantic Ocean , 10 Minutes From The Indian River. (Intercoastal Waterway) One Hour From Orlando Airport, Disney World, Sea World, Universal Studios & Kennedy Space Center. Drive Byes Ok
2/18/2022
Sold Price: $34,900
Property Listing Details for 1327 Waffle Street, Palm Bay, FL 32909
Lot Sub-Type
Unimproved Land
Gated?
HOA
HOA Dues
0.00 ()
Utilities
Subdivision
Frontage
Financing
Posession
D. Basile Real Estate, LLC lists and sells Real Estate and Luxury homes in Melbourne Beach, Merritt Island, Cocoa Beach, Lansing Island, Tortoise Island, Barefoot Bay, Cape Canaveral, Cocoa, Grant Valkaria, Indialantic, Indian Harbour Beach, Malabar, Melbourne, Palm Bay, Rockledge, Satellite Beach, Titusville, West Melbourne and surrounding areas in Brevard.
This listing is courtesy of CENTURY 21 Baytree Realty. Property Listing Data contained within the D Basile Real Estate website is the property of Brevard MLS and is provided for consumers looking to purchase real estate. Any other use is prohibited. We are not responsible for errors and omissions on this web site. All information contained herein should be deemed reliable but not guaranteed, all representations are approximate, and individual verification is recommended.
Quick MLS Search
Choose the Area, City, then Type of the property you're looking for

Share us on your network!