Listing Address:
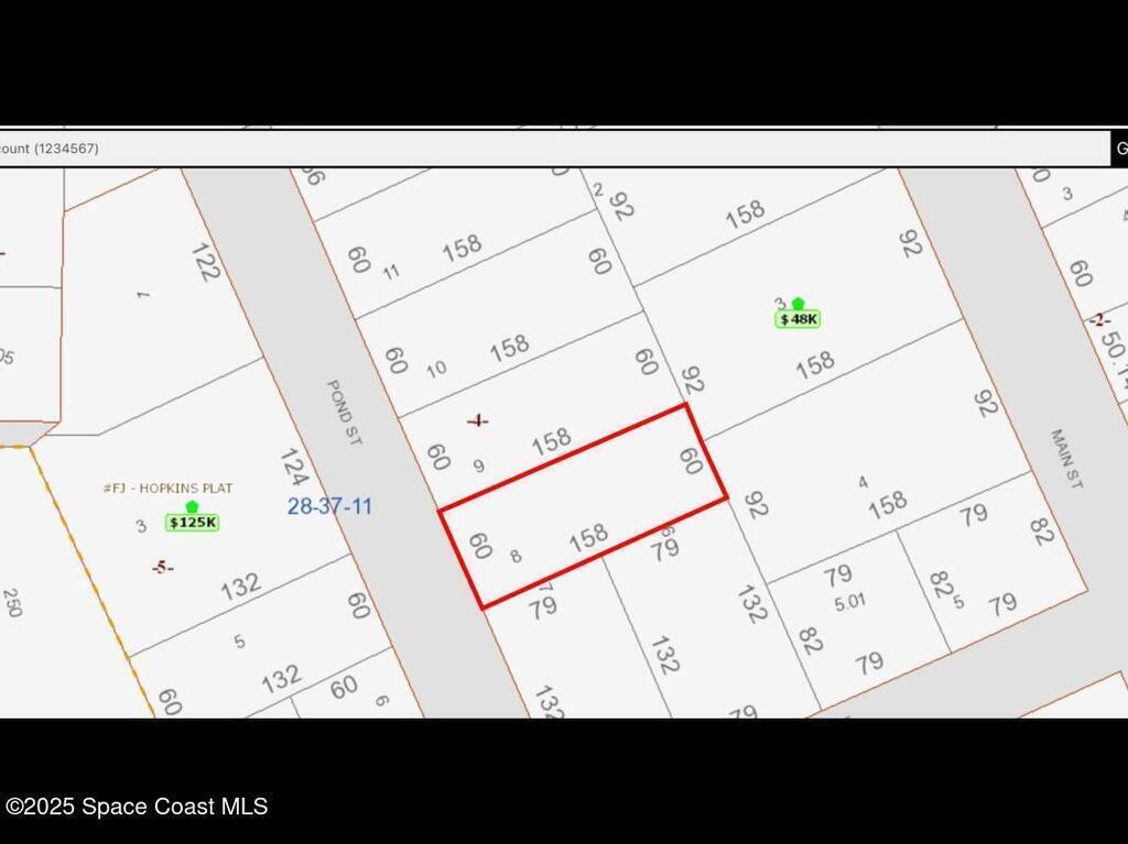
2609 Pond Street, Melbourne, FL 32901
Price: $49,900
MLS # 1054330
Property Type: Vacant Land
This property is Closed. Please contact us for similar properties.
Property Description:
This newly cleared 0.22 acre vacant lot in quiet, established neighborhood & ready to build your dream home! Be ready to enjoy privacy with mature trees, easy access to a nearby park with a playground and picnic area. This lot just minutes from the Indian River Lagoon, Turkey Creek, Downtown Melbourne, FIT, and Florida Beaches. Survey Available.
2/12/2026
Sold Price: $30,000
Property Listing Details for 2609 Pond Street, Melbourne, FL 32901
Lot Sub-Type
Unimproved Land
Gated?
HOA
HOA Dues
0.00 ()
Utilities
Subdivision
Frontage
Financing
Posession
D. Basile Real Estate, LLC lists and sells Real Estate and Luxury homes in Melbourne Beach, Merritt Island, Cocoa Beach, Lansing Island, Tortoise Island, Barefoot Bay, Cape Canaveral, Cocoa, Grant Valkaria, Indialantic, Indian Harbour Beach, Malabar, Melbourne, Palm Bay, Rockledge, Satellite Beach, Titusville, West Melbourne and surrounding areas in Brevard.
This listing is courtesy of FlatFee.com. Property Listing Data contained within the D Basile Real Estate website is the property of Brevard MLS and is provided for consumers looking to purchase real estate. Any other use is prohibited. We are not responsible for errors and omissions on this web site. All information contained herein should be deemed reliable but not guaranteed, all representations are approximate, and individual verification is recommended.
Quick MLS Search
Choose the Area, City, then Type of the property you're looking for

Share us on your network!