Listing Address:
0 Judson , Merritt Island, FL 32953
Price: $175,000
MLS # 1025550
Property Type: Vacant Land
This property is Closed. Please contact us for similar properties.
Property Description:
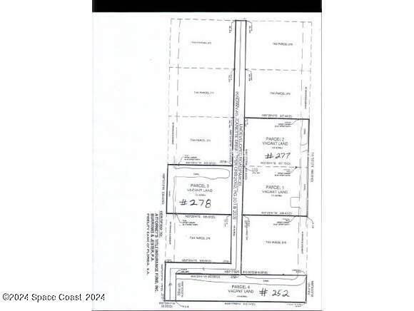
All nestled in a quiet pocket of North Merritt Island surrounded by nature and possibility this Opportunity of 8.16 Acres is zoned AU inclusive of a 1.44 lake lot. This unique offering includes these 3 parcels lot 252 1.44 ac lot 277 4.17 278 2.55 Acres. Originally planned as a 10 lot subdivision now 9 remaing lots shaing 50 ft access owned by this listings lot owners. With no septic tank permits being issued the ideal use is Agricultural or utility use. think landscaping equipment storage, greenhouse operations or nursery development. AU zoning opens doors for creative, business-friendly uses that align with Brevard's evolving landscape. This is a rare chance to secure versatile acreage on North Merritt Island with room to grow-literally and figuratively. Enviornmentally sensitive This land speaks to entrepreneurs, growers and visionaries. If you are unsure of what all is available through AU zoning please find AU zoning attached to this listing.
3/24/2026
Sold Price: $55,000
Property Listing Details for 0 Judson , Merritt Island, FL 32953
Lot Sub-Type
Unimproved Land
Gated?
HOA
HOA Dues
0.00 ()
Utilities
Subdivision
Frontage
Water Type
Financing
Posession
D. Basile Real Estate, LLC lists and sells Real Estate and Luxury homes in Melbourne Beach, Merritt Island, Cocoa Beach, Lansing Island, Tortoise Island, Barefoot Bay, Cape Canaveral, Cocoa, Grant Valkaria, Indialantic, Indian Harbour Beach, Malabar, Melbourne, Palm Bay, Rockledge, Satellite Beach, Titusville, West Melbourne and surrounding areas in Brevard.
This listing is courtesy of HomeSmart Coastal Realty. Property Listing Data contained within the D Basile Real Estate website is the property of Brevard MLS and is provided for consumers looking to purchase real estate. Any other use is prohibited. We are not responsible for errors and omissions on this web site. All information contained herein should be deemed reliable but not guaranteed, all representations are approximate, and individual verification is recommended.
Quick MLS Search
Choose the Area, City, then Type of the property you're looking for

Share us on your network!